Хлебарки
Хлебарките са сред най-древните насекоми – съществуват от над 320 милиона години. Днес са описани около 4600 вида в над 500 рода, но само около 30 се срещат в човешки местообитания, а едва четири са основни домашни вредители по света.
Тялото им е плоско и овално, с три сегмента – глава, гърди и корем. Имат дълги антени, силни челюсти и два чифта крила, като при много видове летателната способност е ограничена. Размерите варират от 3 мм до над 9 см при гигантската хлебарка Macropanesthia rhinoceros. Името cockroach идва от испанското cucaracha, а съвременните хлебарки са по-близки родственици на термитите. Въпреки лошата им слава, те играят важна роля в екосистемите като разграждачи на органична материя, а в някои култури дори се използват за храна или в традиционната медицина.

Информация за хлебарките
Разред: Blattodea (Blattaria) – включва хлебарки и термити
Семейство: Ectobiidae (много от по-малките и често срещани домашни хлебарки)
Местообитание: Обикновено се срещат във влажни и топли зони като кухни, бани, канализационни шахти и мазета
Видове в България: Немска хлебарка, Ориенталска хлебарка, Американска хлебарка, както и други по-малки кафяви и черни видове
Продължителност на живот: Животът варира според вида – например при немската – около 3-6 месеца, а американската може да живее до 1-2 години
Размножаване: Хлебарките снасят яйца в оотеки (яйчни капсули). В едно гнездо може да има десетки яйца, което води до бързо нарастване на популацията.
Видове хлебарки
- Немска хлебарка (Blattella germanica) – малка, светлокафява, с две тъмни ивици на гръбната плоча (pronotum). Слабо летяща, но изключително бързо размножаваща се; най-често срещаният вредител в кухни, ресторанти и жилищни блокове;
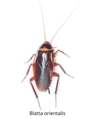
- Ориенталска хлебарка (Blatta orientalis) – по-едра и тъмнокафява; предпочита влажни и по-хладни зони като мазета и шахти. По-бавна от другите видове и често наричана „водна буболечка“;
- Американска хлебарка (Periplaneta americana) – голяма, червеникавокафява, с отлична подвижност и изключителна издръжливост. Най-големият от често срещаните видове, обитаващ предимно канализационни системи;
- Кафява хлебарка – малък домашен вид, разпознаваем по светлокафявите напречни ивици по крилата и корема. Насочват се към по-топли и сухи места, разположени на по-голяма височина. Често обитават горни шкафове или стаи, различни от кухните и санитарните помещения.

Научи повече за видовете хлебарки в статиите :
Навици
С какво се хранят?
Хлебарките са всеядни – консумират органични отпадъци, храна, мазнини, сладки продукти и дори изпражнения и остатъци от хартия.
Активен период
Най-активни са основно през нощта. При излагане на светлина се скриват или бързо се връщат в убежищата си. Немската хлебарка издава неприятна миризма, когато е раздразнена.
Местообитания
Изключително устойчиви, приспособяват се към различни климатични условия – от арктически студове до тропическа жега.
Намират се главно в кухни, бани, близо до водоизточници, в пукнатини зад шкафове и електроуреди. Ориенталската предпочита канализация и влажни мазета.
Размножаване
- яйца – женските произвеждат оотеки (ootheca), съдържащи от няколко до над 30 яйца. При някои видове като немската хлебарка, цикълът от яйце до репродуктивен възрастен може да е около 50-60 дни;
- гнездене – оотеките се носят за кратко или се прикрепят към скрити повърхности в жилищата, от които малките се излюпват след време.

Вредни ли са хлебарките?
Да – хлебарките са едни от най-устойчивите и трудни за контролиране вредители. Те замърсяват храна и повърхности, а немската хлебарка е особено свързана с пренасянето на патогени.
При хлебарките има и риск от пренасяне на различни бактерии, включително Salmonella и E. coli, които причиняват сериозни стомашно-чревни заболявания.
Ухапванията са рядкост, но при големи колонии могат да се случат. Присъствието им често води до алергии, астматични симптоми и кожни раздразнения, особено при чувствителни хора и деца.

Разгледай всички продукти в нашите категории:
Превантивни мерки
- поддържане на висока хигиена – редовно почистване и изхвърляне на отпадъци;
- съхранение на храна в плътно затворени съдове;
- ремонт на течове и премахване на източници на влага;
- запечатване на пукнатини, фуги и процепи в кухнята и банята;
- поставяне на мрежи на прозорци, вентилационни отвори и канали;
- провеждане на профилактични проверки и превантивно третиране с безопасни средства.
Съвети за безопасност
- използвайте безопасни и ефикасни средства за борба с хлебарки;
- бъдете внимателни с поставянето – далеч от деца и домашни любимци;
- не смесвайте различни продукти, освен ако това е ясно упоменато от производителя;
- проветрявайте помещенията след третиране и спазвайте инструкциите на етикета;
- почиствайте повърхностите, които влизат в контакт с храна, след употреба на инсектициди;
- при големи или упорити колонии е най-безопасно да се обърнете към професионална дезинсекция, вместо да увеличавате дозите самостоятелно.

Виж повече в статиите по-долу:
Методи за унищожаване и премахване
Хлебарките трудно се премахват без целенасочена борба:
- препарати и средства – гелове, спрейове за пръскане, пудри, примамки, таблетки, тебешир, лепенки, уреди или капани. Популярни продукти против хлебарки: Райд, Айкън, Адвион, Регент, Магнум;
- професионална помощ – дезинсекция от лицензирани фирми, които прилагат най-ефикасните методи за убиване.
- домашни средства – лепенки, кубчета, къщички и устройства за контрол.
Често задавани въпроси
Какво представляват репелентите против комари?
Репелентите против летящи насекоми се предлагат във флакон, под формата на аерозолна течност. Те имат продължително действие в рамките на няколко часа, като се нанасят директно върху кожата. Действието е бързо, защото в състава на отблъскващите продукти се съдържа DEET в различно отношение, като най-често е в диапазон 15-30 %. Силните прогонващи препарати, които предлагаме в онлайн магазин otrovi.com, не оставят следи след употреба.
Колко дълго трае защитата на спрейовете против комари?
В зависимост от препарата, който сте избрали, зависи и времето на действие, както и от вида на насекомите, срещу които го използвате. Действието срещу кърлежи се равнява на около 4 часа, прилагането срещу тропически комари е ефективно около 8 часа, след което трябва да третирате отново..
Какъв е най-добрият начин за нанасяне на репелента за комари?
Има два начина за нанасяне на спрейовете върху дрехите и кожата си. Първият е чрез разпръскване на течността посредством дюзите на аерозола, а вторият – директно нанасяне върху лицето и шията чрез ръцете. Преди употреба трябва да разклатите добре, за да може всички активни съставки, утаени на дъното, да се смесят. Чрез напръскването течността се нанася равномерно с висока ефективност.
Безопасни ли са спрейовете за хората и домашните любимци?
Препаратите, които са под формата на аерозоли, са спрейове с отблъскващо действие, които служат за предпазване от ухапвания. Могат да се нанасят чрез пръскане по дрехите или директно върху кожата. Използват се за защита на деца и възрастни, като не бива да се ползват от лица под 2-годишна възраст.
Хлебарките са сред най-древните насекоми – съществуват от над 320 милиона години. Днес са описани около 4600 вида в над 500 рода, но само около 30 се срещат в човешки местообитания, а едва четири са основни домашни вредители по света.
Тялото им е плоско и овално, с три сегмента – глава, гърди и корем. Имат дълги антени, силни челюсти и два чифта крила, като при много видове летателната способност е ограничена. Размерите варират от 3 мм до над 9 см при гигантската хлебарка Macropanesthia rhinoceros.
Името cockroach идва от испанското cucaracha, а съвременните хлебарки са по-близки родственици на термитите. Въпреки лошата им слава, те играят важна роля в екосистемите като разграждачи на органична материя, а в някои култури дори се използват за храна или в традиционната медицина.
Разред: Blattodea (Blattaria) – включва хлебарки и термити
Семейство: Ectobiidae (много от по-малките и често срещани домашни хлебарки)
Местообитание: Обикновено се срещат във влажни и топли зони като кухни, бани, канализационни шахти и мазета
Видове в България: Немска хлебарка, Ориенталска хлебарка, Американска хлебарка, както и други по-малки кафяви и черни видове
Продължителност на живот: Животът варира според вида – например при немската – около 3-6 месеца, а американската може да живее до 1-2 години
Размножаване: Хлебарките снасят яйца в оотеки (яйчни капсули). В едно гнездо може да има десетки яйца, което води до бързо нарастване на популацията
Видове хлебарки
- Немска хлебарка (Blattella germanica) – малка, светлокафява, с две тъмни ивици на гръбната плоча (pronotum). Слабо летяща, но изключително бързо размножаваща се; най-често срещаният вредител в кухни, ресторанти и жилищни блокове;
- Ориенталска хлебарка (Blatta orientalis) – по-едра и тъмнокафява; предпочита влажни и по-хладни зони като мазета и шахти. По-бавна от другите видове и често наричана „водна буболечка“;
- Американска хлебарка (Periplaneta americana) – голяма, червеникавокафява, с отлична подвижност и изключителна издръжливост. Най-големият от често срещаните видове, обитаващ предимно канализационни системи;
- Кафява хлебарка – малък домашен вид, разпознаваем по светлокафявите напречни ивици по крилата и корема. Насочват се към по-топли и сухи места, разположени на по-голяма височина. Често обитават горни шкафове или стаи, различни от кухните и санитарните помещения.
Навици
С какво се хранят?
Хлебарките са всеядни – консумират органични отпадъци, храна, мазнини, сладки продукти и дори изпражнения и остатъци от хартия.
Активен период
Най-активни са основно през нощта. При излагане на светлина се скриват или бързо се връщат в убежищата си. Немската хлебарка издава неприятна миризма, когато е раздразнена.
Местообитания
Изключително устойчиви, приспособяват се към различни климатични условия – от арктически студове до тропическа жега.
Намират се главно в кухни, бани, близо до водоизточници, в пукнатини зад шкафове и електроуреди. Ориенталската предпочита канализация и влажни мазета.
Размножаване
- яйца – женските произвеждат оотеки (ootheca), съдържащи от няколко до над 30 яйца. При някои видове като немската хлебарка, цикълът от яйце до репродуктивен възрастен може да е около 50-60 дни;
- гнездене – оотеките се носят за кратко или се прикрепят към скрити повърхности в жилищата, от които малките се излюпват след време.
Вредни ли са хлебарките?
Да – хлебарките са едни от най-устойчивите и трудни за контролиране вредители. Те замърсяват храна и повърхности, а немската хлебарка е особено свързана с пренасянето на патогени. При хлебарките има и риск от пренасяне на различни бактерии, включително Salmonella и E. coli, които причиняват сериозни стомашно-чревни заболявания.
Ухапванията са рядкост, но при големи колонии могат да се случат. Присъствието им често води до алергии, астматични симптоми и кожни раздразнения, особено при чувствителни хора и деца.
Превантивни мерки
- поддържане на висока хигиена – редовно почистване и изхвърляне на отпадъци;
- съхранение на храна в плътно затворени съдове;
- ремонт на течове и премахване на източници на влага;
- запечатване на пукнатини, фуги и процепи в кухнята и банята;
- поставяне на мрежи на прозорци, вентилационни отвори и канали;
- провеждане на профилактични проверки и превантивно третиране с безопасни средства.
Съвети за безопасност
- използвайте безопасни и ефикасни средства за борба с хлебарки;
- бъдете внимателни с поставянето – далеч от деца и домашни любимци;
- не смесвайте различни продукти, освен ако това е ясно упоменато от производителя;
- проветрявайте помещенията след третиране и спазвайте инструкциите на етикета;
- почиствайте повърхностите, които влизат в контакт с храна, след употреба на инсектициди;
- при големи или упорити колонии е най-безопасно да се обърнете към професионална дезинсекция, вместо да увеличавате дозите самостоятелно.
Методи за унищожаване и премахване
Хлебарките трудно се премахват без целенасочена борба:
- препарати и средства – гелове, спрейове за пръскане, пудри, примамки, таблетки, тебешир, лепенки, уреди или капани. Популярни продукти против хлебарки: Райд, Айкън, Адвион, Регент, Магнум;
- професионална помощ – дезинсекция от лицензирани фирми, които прилагат най-ефикасните методи за убиване.
- домашни средства – лепенки, кубчета, къщички и устройства за контрол.















